ЗАПОЧВА ИЗГРАЖДАНЕ НА ЛОКАЛНО ПЛАТНО НА БУЛ. „ЦАР СИМЕОН“ ЗА ДЕСЕН ЗАВОЙ КЪМ БУЛ. „ИЛИНДЕНСКО ВЪСТАНИЕ“
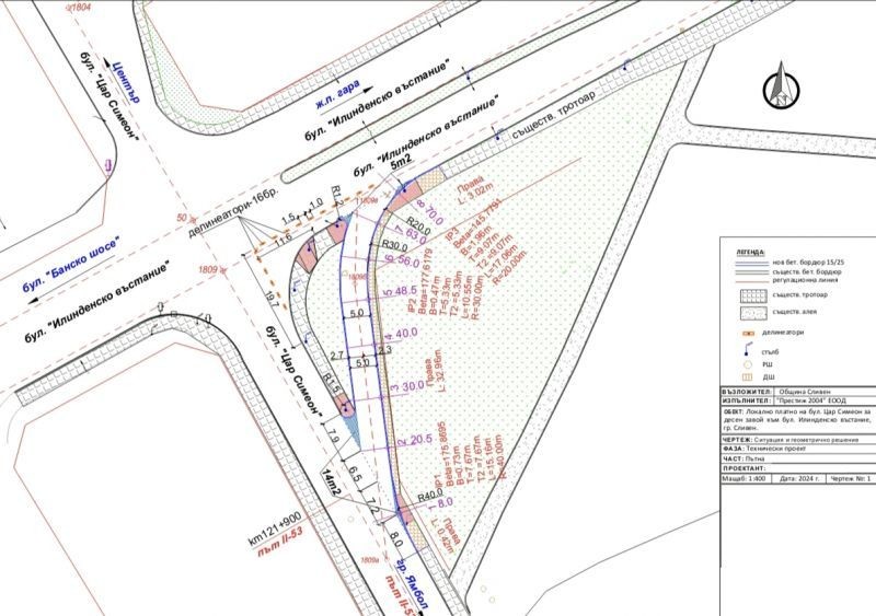
В Сливен започва изграждане на локално платно на булевард „Цар Симеон“ за десен завой към булевард „Илинденско въстание“. Целта е да се отделят превозните средства, пътуващи от Ямбол по булевард „Цар Симеон“ при кръстовището с булевард „Илинденско въстание“. По този начин ще се осигури безопасност на движение и по-добра пропускливост.
Кръстовището между двата булеварда е регулирано със светофарна уредба. С изграждането на локалното платно за дясно завиване се постига облекчаване натоварването на самото кръстовище, като движещите се автомобили от Ямбол към ж.п. гарата няма да минават през светофара, а ще се придвижват по локално платно и така ще се изтеглят по-бързо.
Планирано е локалното платно да е с дължина 76 метра и ширина 5 метра. От двете страни на платното ще се изградят бетонни бордюри 15/25 с регула 10 см. Входът към платното ще бъде при км 121+900 на път II-53-ляво (бул. „Цар Симеон“).
Срок за изпълнение на проекта е 120 календарни дни. Изпълнител е „ Технопътстрой“ ЕООД, гр. Ямбол.
Проектът за изграждане на локално платно е в синхрон с политиката на Общината за подобряване на пътната мрежа в града и населените места. През лятото започна и ремонтът на самия булевард „Цар Симеон“. Участъкът, който се възстановява, е от кръстовището с булевард „Братя Миладинови“ до кръстовището с булевард „Илинденско въстание“.
Пресслужба на община Сливен




